Район „Кремиковци“ обявява провеждане на обществено обсъждане на: "Проект за подробен устройствен план – парцеларен план за елементите на техническата инфраструктура, на територията на гр. София – подземна кабелна линия – средно напрежение, м. Могилите, кв. "Враждебна"

 

О Б Я В Л Е Н И Е

 

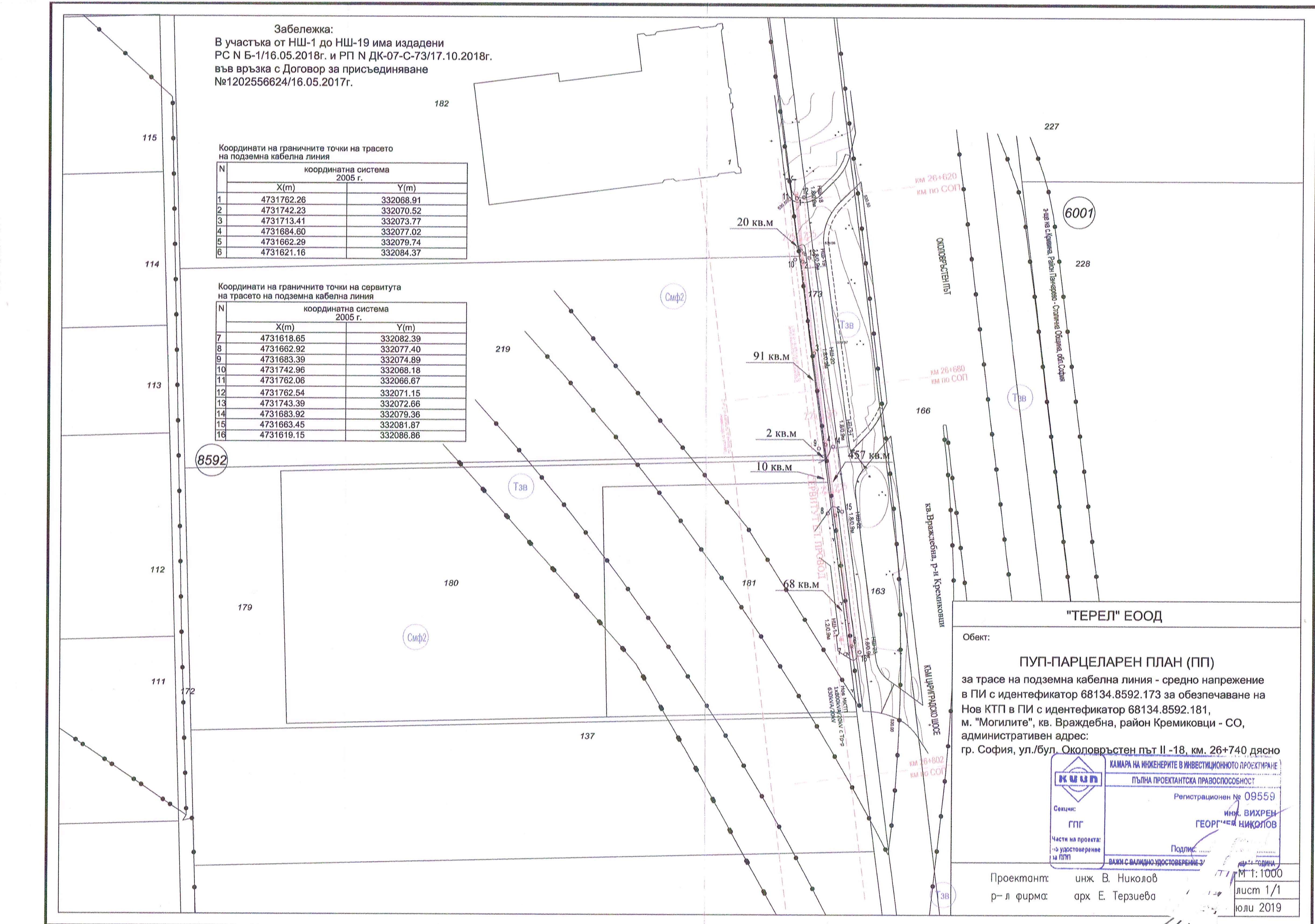
СО – район „Кремиковци“, на основание чл. 20, ал. 5 от Наредбата за реда и начина за провеждане на обществени обсъждания в областта на пространственото развитие и устройството на територията на Столична община, приета с Решение № 661 по Протокол № 41/12.10.2017 г., съобщава, че е издадена Заповед № РКР19-РД09-148/21.08.2019 г. на кмета на СО – район „Кремиковци”, за провеждане на обществено обсъждане на: Проект за подробен устройствен план – парцеларен план за елементите на техническата инфраструктура, на територията на гр. София – подземна кабелна линия – средно напрежение, с трасе в имот с идентификатор 68134.8592.173, за обезпечаване на съоръжение – нов КТП за обект, разположен в поземлен имот с идентификатор 68134.8592.181, м. Могилите, кв. "Враждебна", което ще се проведе чрез представяне на Проекта на 28.08.2019 г. от 17.00 ч. в сградата на СО – район „Кремиковци”, с адрес: гр. София – 1870, кв. „Ботунец”, ул. „Челопешко шосе” 267, вх. Б., и заключителна дискусия на 18.09.2019 г. от от 17.00 ч., в сградата на СО – район „Кремиковци”, с адрес: гр. София – 1870, кв. „Ботунец”, ул. „Челопешко шосе” 267, вх. Б.

Заповед № РКР19-РД09-148/21.08.2019 г.

Обяснителна записка

Графична част

 

 

 

 

21/08/2019