ПКТП ЗА БУЛ. "ЗАПАДНА ТАНГЕНТА" И УЛ. "ИНДИРА ГАНДИ"


„ПКТП на първостепенни улици между ж.к. „Овча купел“ (бул. „Президент Линкълн“) и ж.к. „Люлин“ (бул. „Царица Йоанна“)“


Разработката обхваща трасето на нова комбинирана връзка по трасето на планирания т. нар. бул. „Западна тангента“ между ж.к. „Овча купел“ и ж.к. „Люлин“, ул. „Индира Ганди“ и нов пробив на ул. „Индира Ганди“ до бул. „Царица Йоанна“.

Основни акценти на разработката са:

Тунелно преминаване под жп линия 5 (София – Владая – Перник)

В участъка между бул. „Президент Линкълн“ и ул. „Суходолска“ се предвижда тунелно преминаване. Това се налага поради наклона на терена, но също и поради необходимостта от безконфликтно пресичане на жп линията София – Перник.

Тунелът ще бъде плитко заложен и с дължина около 350 m. През него ще преминават единствено автомобилното и трамвайното движение, но ще има и сервизни тротоари.

За безопасното провеждане на пешеходното и велосипедното движение е предвиден отделен много по-къс подлез с рампи и асансьори в района на жп линията София – Перник при предвидената нова жп спирка „Суходолска“.

Трамвайни спирки ще бъдат разположени в двата края на тунела при кръстовищата на новата улица с бул. „Президент Линкълн“ и с ул. „Суходолска“, но жп спирката ще е на удобно пешеходно разстояние.


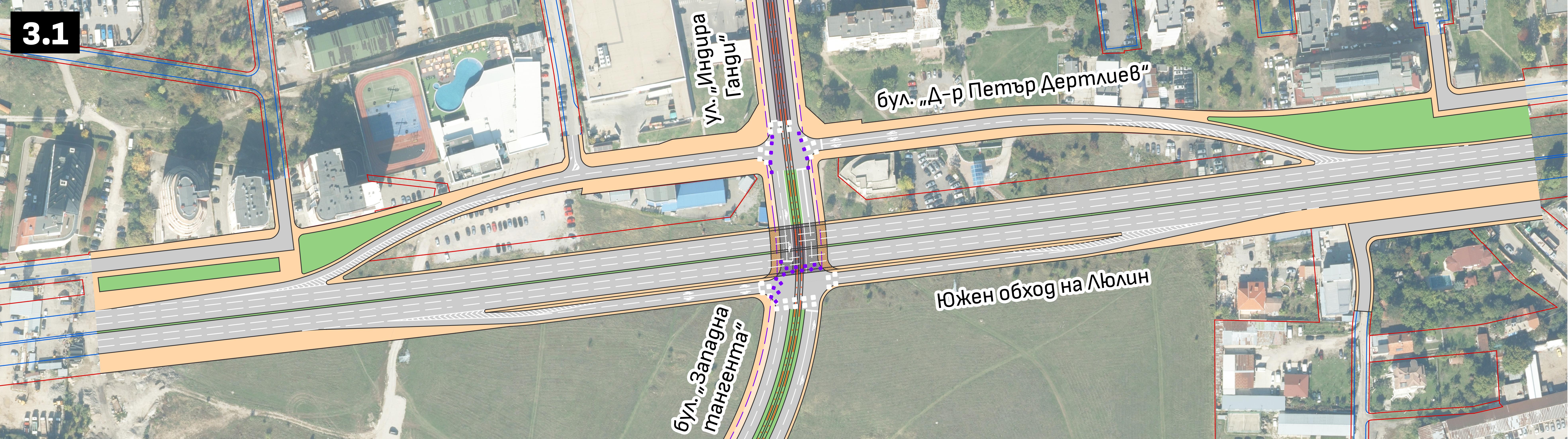
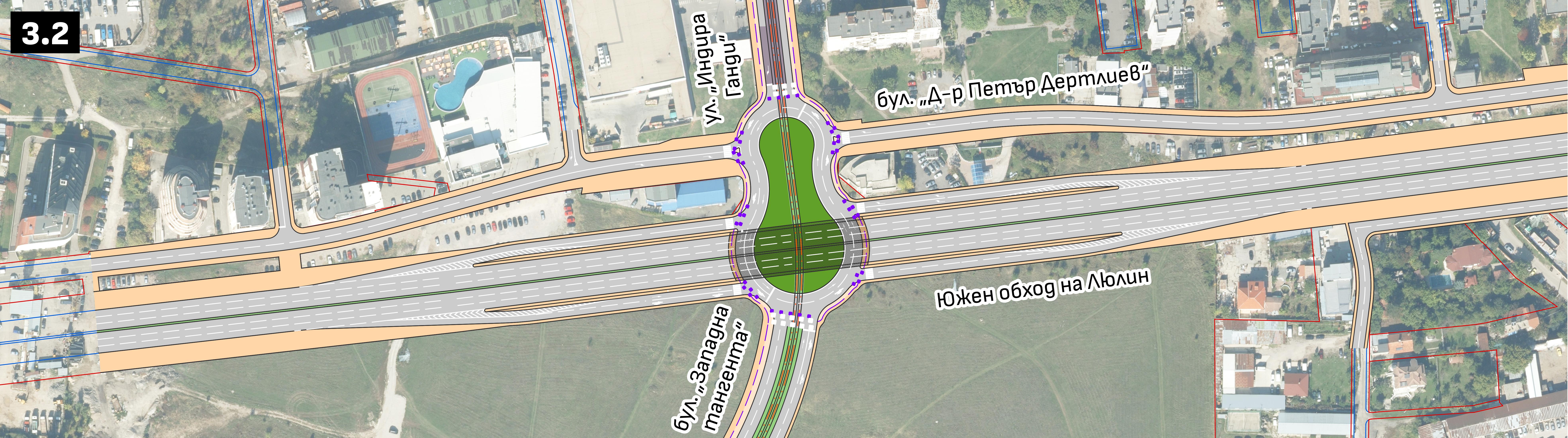
Пътен възел „Дертлиев – Ганди“

В ОУП на СО е планирано изграждането на пътен възел на кръстовището на бул. „Западна тангента“ и бъдещият Южен обход на "Люлин" (бул. „Д-р Петър Дертлиев“ – нов). В разработката на ПКТП се предлагат две решения за кръстовището, като и при двете на горно ниво е изведено трасето на Южния обход на "Люлин" (бул. „Д-р Петър Дертлиев“ – нов).

Основната разлика между двата варианта е решението за запазване или прекъсване на трасето на бул. „Д-р Петър Дертлиев“ – стар. Поради регулационни ограничения и вече реализираното застрояване, проектните решения имат интересни форми.

В ПКТП е разработен планираният в ОУП пробив между бул. „Джавахарлал Неру“ и бул. „Царица Йоанна“, продължение на ул. „Индира Ганди“ в северна посока. Двете съществуващи кръстовищата в двата края на участъка се трансформират от триклонни в четириклонни.

В този участък новото трамвайно трасе между ж.к. „Овча купел“ и ж.к. „Люлин“ прави връзка със съществуващото и в момента трасе на трамвайна линия № 8 „Люлин 5 – Съдебна палата“.

Изготвянето на ПКТП за бул. „Западна тангента“ и ул. „Индира Ганди“ е продължение на изследване на ОП „Софияплан“ за възможността за реализиране на пътна връзка между ж.к. „Овча купел” (бул. „Монтевидео”) и ж.к. „Люлин” (бул. „Д-р Петър Дертлиев”) – т.нар. „Западна тангента“.

 

„ПКТП на първостепенни улици между ж.к. „Овча купел“ и ж.к. „Люлин“

1. Напречен профил при нов участък на ул. "Индира Ганди"

2. Напречен профил при ул. "Индира Ганди"

3.1. Вариант с кръстовище тип диамант при Южен обход на Люлин

3.2. Вариант с нестандартно кръгово кръстовище при Южен обход на Люлин

4. Напречен профил през Западен
​​​​​​​парк

5. Напречен профил при тунел под жп линия София - Перник