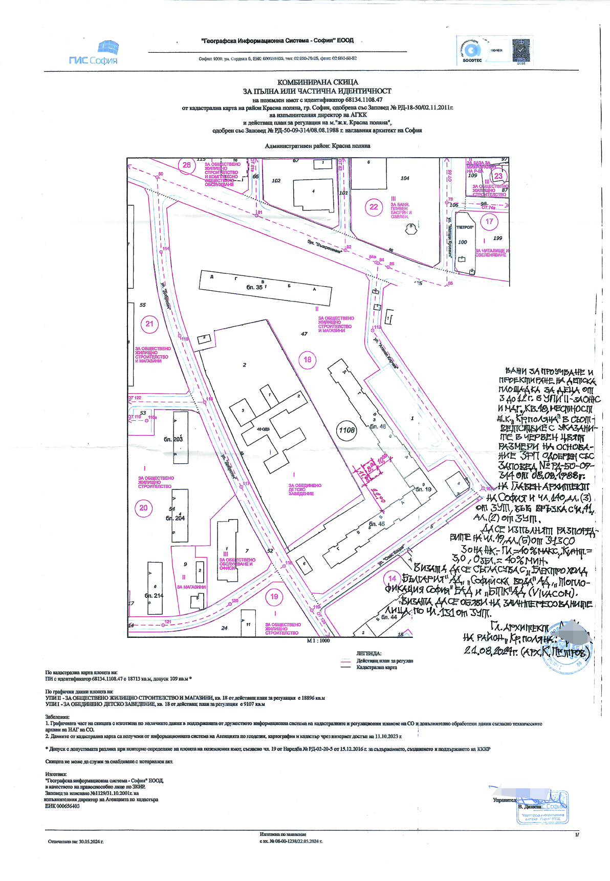
Район „Красна поляна” обявява обществено обсъждане на Виза за проучване и проектиране на детска площадка за деца от 3 до 12 г., издадена от гл. архитект на район „Красна поляна” на 21.08.2024 г., в ПИ с идентификатор 68134.1108.47, УПИ II-за ожс и магазини, кв. 18, м. ж.к. „Красна поляна“

 

ОБЯВЛЕНИЕ


Район „Красна поляна” – СО, на основание чл. 20, ал. 5 от Наредбата за реда и начина за провеждане на обществени обсъждания в областта на пространственото развитие и устройството на територията на Столична община, приета с Решение № 661 по Протокол № 41/12.10.2017 год. на СОС, съобщава, че е издадена Заповед № РКП24-РД56-256/29.08.2024 г. от кмета на район „Красна поляна” за провеждане на обществено обсъждане на: Виза за проучване и проектиране на детска площадка за деца от 3 до 12 год., издадена от главния архитект на район „Красна поляна” на 21.08.2024 г., в ПИ с идентификатор 68134.1108.47, УПИ II-за ожс и магазини, кв. 18, м. ж.к. „Красна поляна“.

Представянето на Визата ще се проведе на 10.09.2024 г. от 17:00 часа в стая 110, в сградата на район „Красна поляна”, ул. „Освобождение” № 25.
В срок до 20.09.2024 г. могат да се подават становища в деловодството на район „Красна поляна” или на електронната поща на района – office@krasnapolyana.bg, тел. за информация 02-92-172-59/58.
На 25.09.2024 г. от 17:00 часа на същото място ще се проведе обществена дискусия по Визата.

 

Заповед № РКП24-РД56-256/29.08.2024 г. на кмета на район „Красна поляна”
Виза

29/08/2024